UNDER OFFER - Perfect Portion in the Perfect Location

If your dream is to one day build a brand new home on Norfolk Island in easy walking distance to school, town and a short drive to the beach, this is the block for you. Just 200m from the local central school in the much sought after location of Cascade, the portion boasts sprawling Mount Pitt views to the North with a bright, open aspect all day long. 

Large sections of flat land make for ideal building sites and the wide, flat road access will assist in any building works. The property is already fenced from the road and one adjacent property. 

Buy now, secure this perfect block and build when the time is right, or get straight into it - either way any house built here will offer great opportunities for lifestyle and convenience. 

 

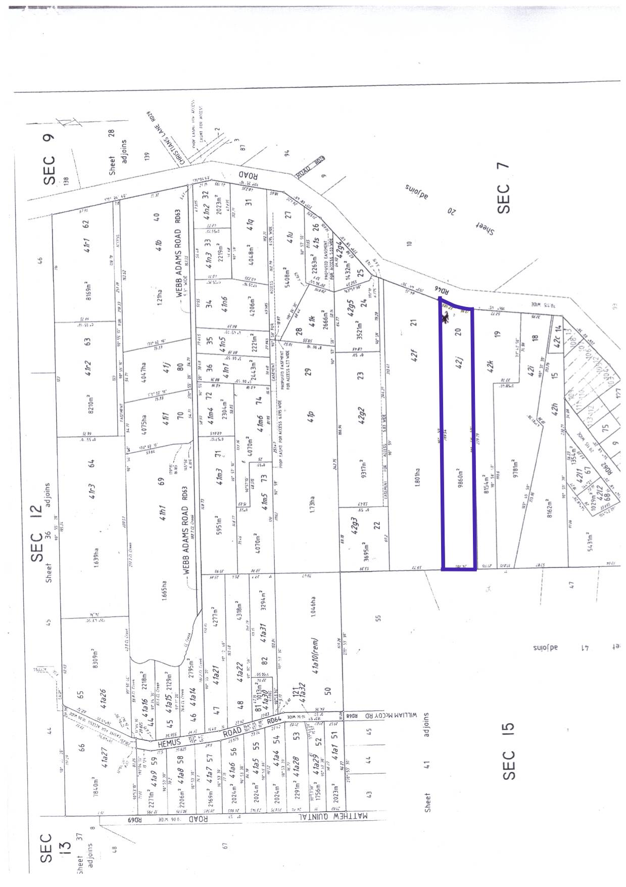
9,860 m2
Address 42j Cascade Road, Norfolk Island
Price SOLD
Property Type Residential
Property ID 479
Category Vacant Land
Land Area 9,860 m2

Agent Details

Rose Evans photo

Rose Evans

0011 6723 22429
View Profile