Entry Level Price Point for Prime Location

Located in the Bucks Point area, this approximately one acre block offers good road frontage and the opportunity to position a home with valley views. 

~ Direct road frontage 

~ Sought after location close to town and beach

~ Valley aspect across to Two Chimneys area

~ Cleared 

With land listings selling quickly, this block represents an opportunity to enter the market in a great price point, and get a foothold on the property ladder.

With sloping sides, vision empowered buyers can see the opportunity for a pole house scenario, maximising the valley views  and enjoying elevated living.

 

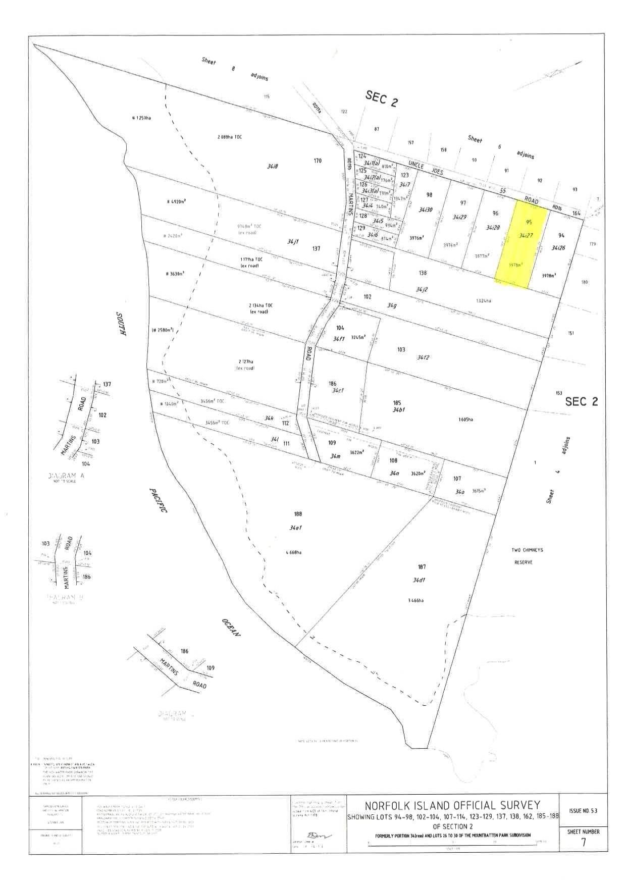
3,978 m2
Address 34i27 Uncle Joes Road, Norfolk Island
Price SOLD
Property Type Residential
Property ID 520
Category Vacant Land
Land Area 3,978 m2

Agent Details

Rose Evans photo

Rose Evans

0011 6723 22429
View Profile