Tidy Portion with Perfect Building Site

Located along Stockyard Road, this portion of land has been cleared and has significant infrastructure in place - including a fantastic concrete driveway, power and telephone lines. 

The portion has an excellent building site and slopes to the valley providing sweeping views across hillsides. Stands of mature Norfolk pines are a feature of the property. 

In a busy land market, this portion is a standout as all the hard work and expense of creating a workable and accessible site, has already been done for you. Dream up your perfect house and put it here. 

 Property Features

* Power & telephone lines

* Concreted driveway

* Easy access and excellent building site

This entry to the market represents exceptional value, and the opportunity to secure a beautiful portion of land with quality infrastructure in place. 

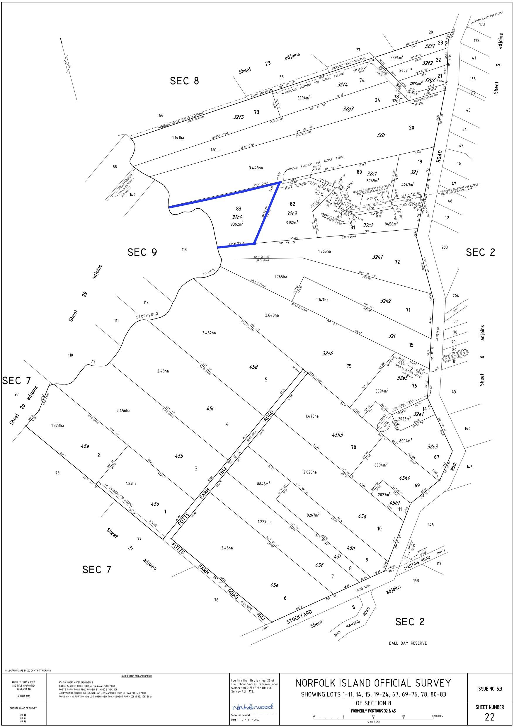
9,362 m2
Address 32c4 Stockyard Road, Norfolk Island
Price SOLD for $160,000
Property Type Residential
Property ID 573
Category Vacant Land
Land Area 9,362 m2

Agent Details

Rose Evans photo

Rose Evans

0011 6723 22429
View Profile