Secluded Rural Land with Beautiful Valley and Ocean Views

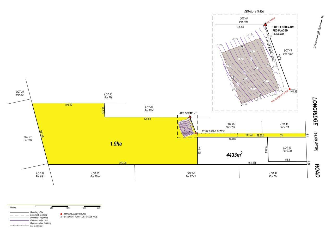
A rare and remarkable opportunity awaits with this 1.9-hectare parcel of rural land in the peaceful and highly sought-after Longridge area. Tucked away from the road via a battle-axe driveway, this private block offers spectacular valley views that stretch all the way to the ocean and Phillip Island beyond.

Whether you're seeking the perfect site for your dream home or a tranquil rural retreat, this property promises peace, privacy, and natural beauty in equal measure.

Property Highlights:
Stunning Views: An elevated, partially cleared building site captures panoramic valley and ocean vistas.
Private Position: Set back from Longridge Road via a flat easement driveway, ensuring peace and seclusion.
Rural Zoning: Located in a quiet rural-residential area with limited neighbouring development.
Natural Landscape: Surrounded by native forest and lush vegetation, the block offers a serene and protected setting.
Wind Sheltered: Naturally enclosed by trees, providing excellent protection from prevailing winds.
Water Potential: A bore located in the lower valley section of the block was previously used for farming. While its current condition is unknown, it offers potential for future water access.

This is a premium opportunity to secure a slice of Norfolk Island's countryside and craft a lifestyle of calm and connection to nature. With space to build, room to grow, and a spectacular outlook that will never get old, this property is a must-see for buyers with vision.

Contact us today to arrange a viewing or request further details.

 

1.90 ha
Address 77z4 Longridge Road, Norfolk Island
Price $220,000
Property Type Residential
Property ID 826
Category Vacant Land
Land Area 1.90 ha

Agent Details

Rose Evans photo

Rose Evans

0011 6723 22429
View Profile